正文
根据《中华人民共和国土地管理法》《中华人民共和国土地管理法实施条例》等法律法规和有关政策规定,现对黄石市教育局位于黄石市西塞山区颐阳路74号老干部活动中心办公用房土地现状权属调查公告如下:
一、基本情况
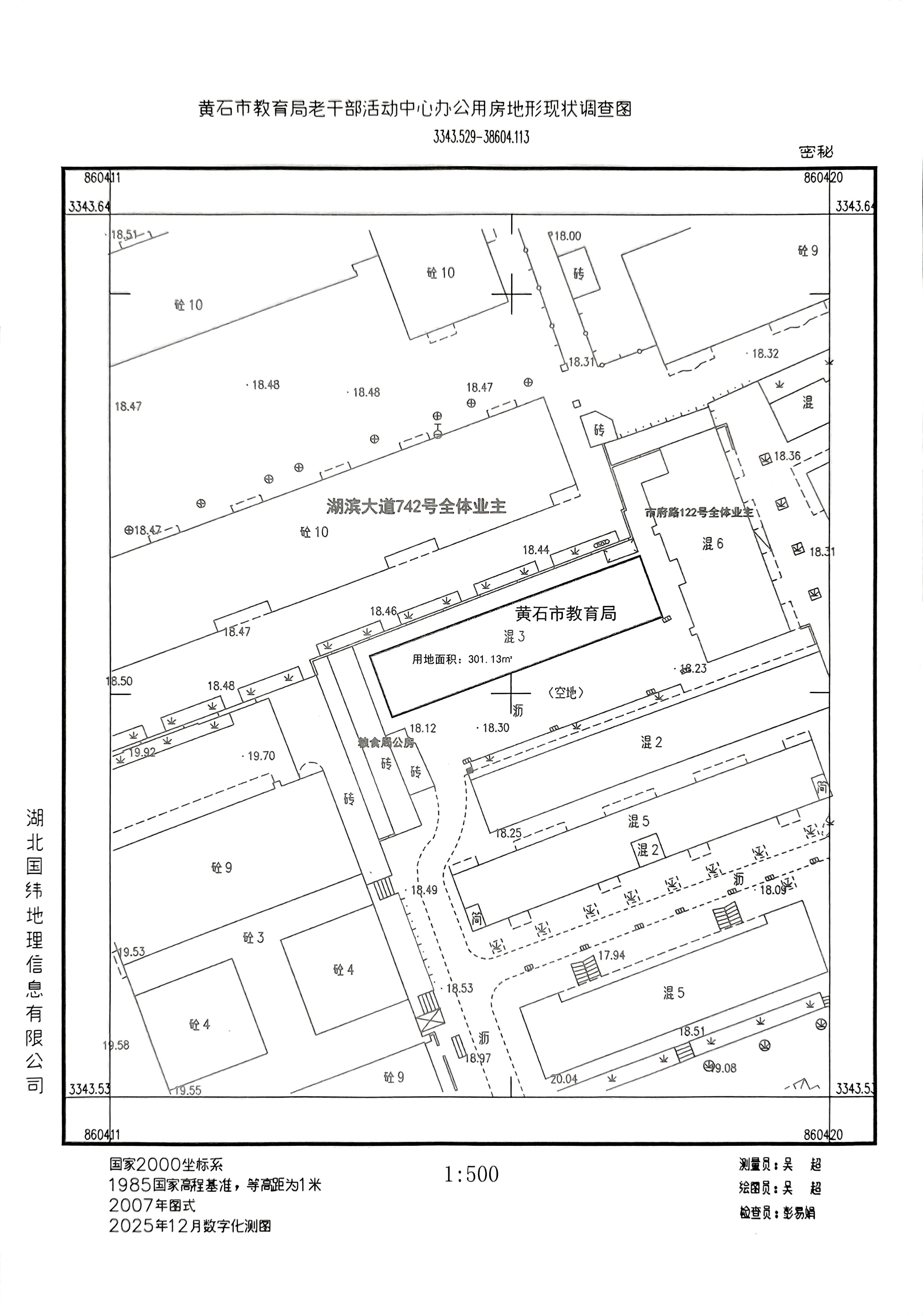
根据湖北国纬地理信息有限公司提供的土地现状权属调查图,土地现使用权人为黄石市教育局,位于黄石市西塞山区颐阳路74号,宗地面积301.13㎡,用途为机关团体用地,四至分别为:东临市府路122号全体业主;南临国有空地;西临粮食局公房;北临湖滨大道742号全体业主。
二、公告内容
根据自然资源部《关于加快解决不动产登记若干历史遗留问题的通知》(自然资发〔2021〕1号)黄石市市直党政机关办公用地权属统一登记工作领导小组《关于市直党政机关办公用房权属统一登记有在事项的通知》(黄权登发〔2023〕1号)文件的规定:“无土地权源资料的办公用房项目经对其权属经公告确权无异议后,视同原房产所有权人取得划拨土地使用权,不再补办用地手续”。
为完善黄石市教育局位于黄石市西塞山区颐阳路74号老干部活动中心办公用房不动产登记相关事宜,经黄石市教育局、澄月街道办事处、区资规分局、湖北国纬地理信息有限公司现场共同确认范围界线,并核实无误,由湖北国纬地理信息有限责任公司出具现状权属调查图(详见附件)并予以公示。
三、公告时间
2025年12月26日-2026年1月5日,共计10日。
四、其他事项
房屋范围内的权利人及相邻权属单位、权利人对该现状权属调查有异议,请在本公告期间向西塞山区人民政府或黄石市自然资源和规划局西塞山区分局反映(联系人:田元,联系电话13092793589)。若无异议,将按相关规定办理相关登记手续。
特此公告。
附件:黄石市教育局党政机关办公用房土地现状权属调查图
黄石市自然资源和规划局西塞山区分局
2025年12月25日
附件:黄石市教育局党政机关办公用房土地现状权属调查图

